38 Thomas J Rhodes Indust Dr, Trenton, NJ 08619
Local realty services provided by:ERA Central Realty Group
38 Thomas J Rhodes Indust Dr,Trenton, NJ 08619
$5,000,000
- - Beds
- - Baths
- 330,000 sq. ft.
- Farm
- Active
Listed by: jeffrey bisk
Office: rohrer real estate
MLS#:NJME2072984
Source:BRIGHTMLS
Price summary
- Price:$5,000,000
- Price per sq. ft.:$15.15
About this home
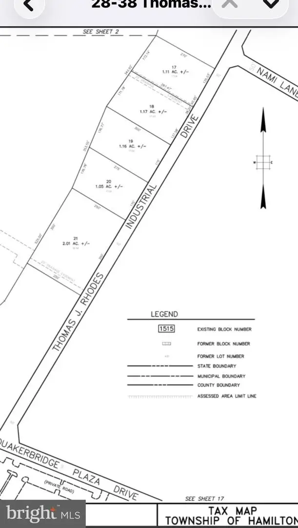
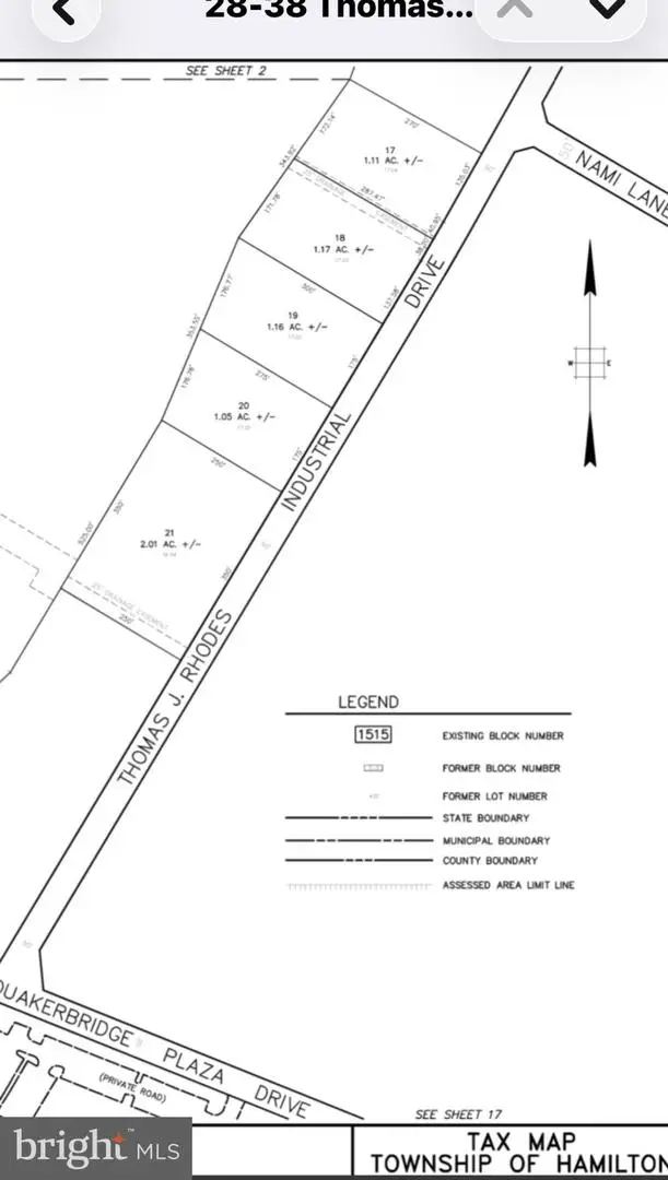
The final development opportunity within the desirable and strategic Hamilton Corporate Center.
The property is fully serviced with natural gas, public sewer, public water, and high‑speed fiber All all on site and available for immediate industrial deployment.
This rare industrial opportunity supports a wide range of uses, including but not limited to data center, manufacturing, IOS, commercial, storage cannabis and institutional programs, all within a proven, business‑friendly municipality known for predictable execution.
Seller will deliver the property fully entitled and shovel‑ready at Seller’s expense, aligned with Purchaser’s engineering site plan and architectural vision, ensuring a streamlined path from acquisition to construction.
With approximately 1,200 feet of frontage along TJR, an average depth of 275 feet, and 331,000 square feet across combined parcels, the site offers exceptional visibility, access, and development flexibility.
Conceptuals, soil reports, and detailed site materials are available upon request.
The property is not farmland preserved and is offered as fee simple ownership....
Contact an agent
Home facts
- Year built:2026
- Listing ID #:NJME2072984
- Added:56 day(s) ago
- Updated:April 20, 2026 at 01:37 PM
Rooms and interior
- Living area:330,000 sq. ft.
Structure and exterior
- Year built:2026
- Building area:330,000 sq. ft.
- Lot area:7.6 Acres
- Lot Features:Additional Lot(s), Urban
- Levels:3 Story
Utilities
- Water:Public
- Sewer:Public Sewer
Finances and disclosures
- Price:$5,000,000
- Price per sq. ft.:$15.15
- Tax amount:$11,000 (2025)
Features and amenities
- Amenities:200+ Amp Service, Natural Gas Available, Underground Utilities
Parking
- Parking description:Attached Garage
- Garage:Yes
- Garage spaces:100
New listings near 38 Thomas J Rhodes Indust Dr
- New
$270,000Active3 beds 1 baths1,224 sq. ft.26 Bond St, TRENTON, NJ 08618
MLS# NJME2075550Listed by: EXP REALTY, LLC - New
$299,000Active3 beds -- baths1,440 sq. ft.550 Centennial Ave, TRENTON, NJ 08629
MLS# NJME2075716Listed by: PREFERRED REALTY SERVICES, LLC. - New
$390,000Active3 beds 2 baths2,308 sq. ft.109 S Montgomery St, TRENTON, NJ 08611
MLS# NJME2075580Listed by: COLDWELL BANKER HEARTHSIDE - Coming Soon
$950,000Coming Soon4 beds 3 baths3 N Field Ct, TRENTON, NJ 08648
MLS# NJME2075610Listed by: KELLER WILLIAMS REALTY DEVON-WAYNE - New
$329,900Active3 beds 1 baths1,154 sq. ft.2507 Columbia Ave, TRENTON, NJ 08638
MLS# NJME2075446Listed by: KELLER WILLIAMS PREMIER - New
$279,000Active4 beds -- baths1,816 sq. ft.321 Parkway Ave, TRENTON, NJ 08618
MLS# NJME2074050Listed by: QUARTERMAN REALTY GROUP INC. - New
$219,900Active3 beds 1 baths1,296 sq. ft.403 Klag, TRENTON, NJ 08638
MLS# NJME2075594Listed by: NJ ELITE GROUP LLC - New
$314,999Active2 beds 2 baths1,253 sq. ft.16 Kyle Way, TRENTON, NJ 08628
MLS# NJME2075528Listed by: HOMECOIN.COM - New
$435,000Active4 beds 4 baths1,646 sq. ft.60 Abernethy Dr, TRENTON, NJ 08618
MLS# NJME2075566Listed by: COLDWELL BANKER REALTY - New
$549,000Active3 beds 3 baths2,025 sq. ft.2490 Sylvan Ave, TRENTON, NJ 08610
MLS# NJME2075564Listed by: KELLER WILLIAMS REALTY MONMOUTH/OCEAN