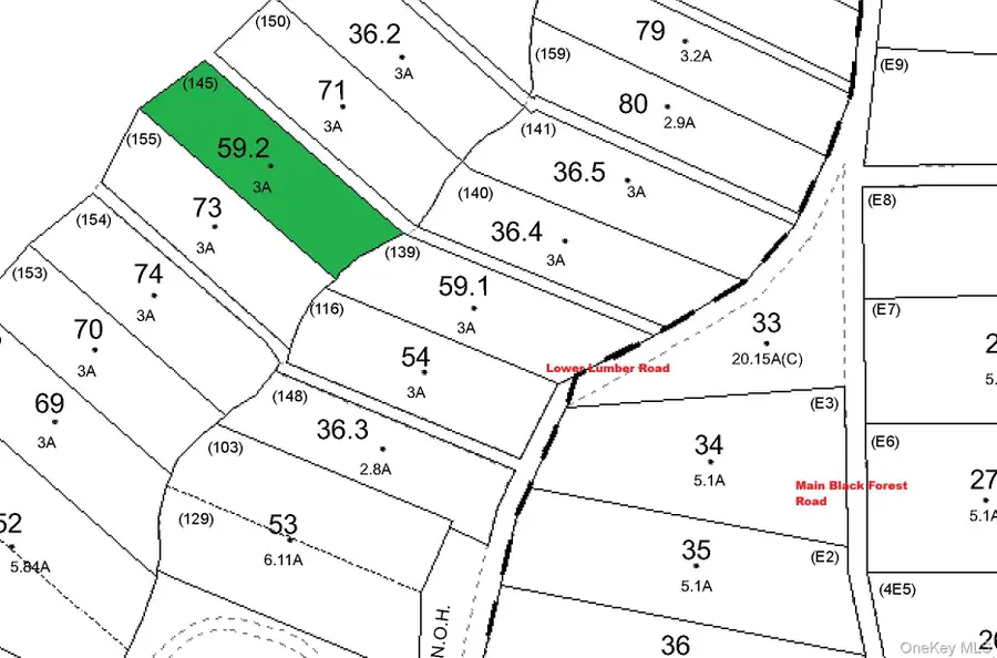
Lot 59.2 Lower Lumber Road, Glen Spey, NY 12737

Local realty services provided by:ERA Top Service Realty
Lot 59.2 Lower Lumber Road,Glen Spey, NY 12737
$39,000
  • 3 Acres
  • Lots / Land
  • Active
Listed by: dawn m. payne, kristen payne
Office: payne team llc.
MLS#:955574
Source:OneKey MLS

Price summary

  • Price:$39,000

About this home

3 acre stream front property in the Black Forest Colony. The community offers 4 expansive private park areas comprising 1,100 acres. Club members enjoy exclusive access to the natural beauty of The Black Forest, featuring deep ravines, waterfalls, hiking trails, swimming holes, fishing spots, snowshoeing, and waterfront access to the Delaware River. Recently, members have formed a trail committee to explore and map the Club's natural resources further. At the heart of the Black Forest Club lies the Clubhouse, a turn-of-the-century hunting lodge renovated into a charming, rustic cabin. Heated by a wood-burning stove in the winter and boasting a beautiful communal porch for summer use, the Clubhouse is the center of community life. The Club hosts seasonal events throughout the year, from the award-winning Oktoberfest to the competitive Super Bowl party, providing a wonderful place for members to gather and celebrate together.

Contact an agent

contact an agent

Yes, I would like more information. Please use and/or share my information with an ERA®  affiliated agent to contact me about my real estate needs. By clicking Send message, I request to be contacted by phone or text message and consent to being contacted by automated means. I understand that my consent to receive calls or texts is not a condition of purchasing any property, goods, or services. Alternatively, I understand that I can access real estate services by email or I can contact the agent myself.

If an ERA®  affiliated agent is not available in the area where I need assistance, I agree to be contacted by a real estate agent affiliated with another brand owned or licensed by Anywhere Real Estate (BHGRE® , CENTURY 21® , Coldwell Banker® , Corcoran® , Sotheby's International Realty® ).
 I acknowledge that I have read and agree to theTerms of useandPrivacy notice

Home facts

  • Listing ID #:955574
  • Added:105 day(s) ago
  • Updated:May 14, 2026 at 10:41 AM

Structure and exterior

  • Lot area:3 Acres

Schools

  • High school:Eldred Junior-Senior High School
  • Middle school:Eldred Junior-Senior High School
  • Elementary school:George Ross Mackenzie Elem Sch

Finances and disclosures

  • Price:$39,000
  • Tax amount:$817 (2025)
Copyright 2026 OneKey MLS. All rights reserved. Listings courtesy of OneKey MLS as distributed by MLS GRID <lastMLSCheckTimestamp>. OneKey MLS provides content displayed here (“provided content”) on an “as is” basis and makes no representations or warranties regarding the provided content, including, but not limited to those of non-infringement, timeliness, accuracy, or completeness. Individuals and companies using information presented are responsible for verification and validation of information they utilize and present to their customers and clients. OneKey MLS will not be liable for any damage or loss resulting from use of the provided content or the products available through Portals, IDX, VOW, and/or Syndication. Recipients of this information shall not resell, redistribute, reproduce, modify, or otherwise copy any portion thereof without the expressed written consent of OneKey MLS.