Athboy Road, Marlboro, NY 12542

Local realty services provided by:Bon Anno Realty ERA Powered
Athboy Road,Marlboro, NY 12542
$499,000
  • - Acres
  • Lots / Land
  • Sold
Listed by: virginia corbett
Office: exp realty
MLS#:934848
Source:OneKey MLS

Sorry, we are unable to map this address


Price summary

  • Price:$499,000

About this home

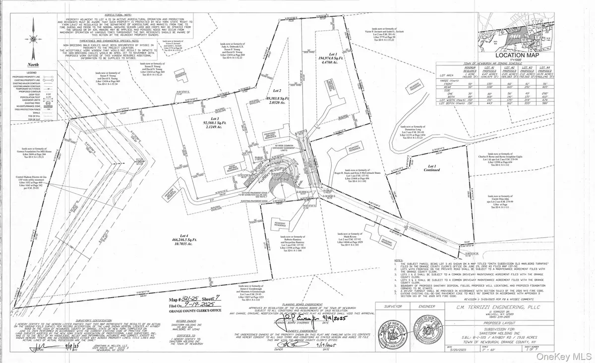
Calling all builders! This 19.1 acre, fully approved four lot subdivision offers a "shovel ready" opportunity for builders seeking a streamlined project in the Marlboro School District. All engineering, Board of Health approvals, septic designs, and roadway plans are complete, allowing a developer to move directly into construction without delays. The subdivision includes four well proportioned lots: Lot 1 with 4.47 acres, Lot 2 with 2.05 acres, Lot 3 with 2.12 acres, and Lot 4 with 10.7 acres, all arranged around a cul de sac design that supports a range of home styles and site plans. Further subdivision of the largest lot is possible in 3 years. The topography and lot configuration provide flexibility for builders who want to offer homes with outdoor entertaining space, walkout lower levels, or views depending on the final building design. With the groundwork already completed, this property allows a builder to focus on construction and marketing rather than navigating the approval

Contact an agent

contact an agent

Yes, I would like more information. Please use and/or share my information with an ERA®  affiliated agent to contact me about my real estate needs. By clicking Send message, I request to be contacted by phone or text message and consent to being contacted by automated means. I understand that my consent to receive calls or texts is not a condition of purchasing any property, goods, or services. Alternatively, I understand that I can access real estate services by email or I can contact the agent myself.

If an ERA®  affiliated agent is not available in the area where I need assistance, I agree to be contacted by a real estate agent affiliated with another brand owned or licensed by Anywhere Real Estate (BHGRE® , CENTURY 21® , Coldwell Banker® , Corcoran® , Sotheby's International Realty® ).
 I acknowledge that I have read and agree to theTerms of useandPrivacy notice

Home facts

  • Listing ID #:934848
  • Added:37 day(s) ago
  • Updated:December 21, 2025 at 08:12 AM

Schools

  • High school:Marlboro Central High School
  • Middle school:Marlboro Middle School
  • Elementary school:Marlboro Elementary School

Finances and disclosures

  • Price:$499,000
  • Tax amount:$3,650 (2025)
Copyright 2025 OneKey MLS. All rights reserved. Listings courtesy of OneKey MLS as distributed by MLS GRID <lastMLSCheckTimestamp>. OneKey MLS provides content displayed here (“provided content”) on an “as is” basis and makes no representations or warranties regarding the provided content, including, but not limited to those of non-infringement, timeliness, accuracy, or completeness. Individuals and companies using information presented are responsible for verification and validation of information they utilize and present to their customers and clients. OneKey MLS will not be liable for any damage or loss resulting from use of the provided content or the products available through Portals, IDX, VOW, and/or Syndication. Recipients of this information shall not resell, redistribute, reproduce, modify, or otherwise copy any portion thereof without the expressed written consent of OneKey MLS.