0 Commercial Point Road, Ashville, OH 43103
Local realty services provided by:ERA Real Solutions Realty
0 Commercial Point Road,Ashville, OH 43103
$269,316
- 2.7 Acres
- Lots / Land
- Active
Listed by: michelle l stevenson
Office: m3k real estate network inc.740-500-1277
MLS#:226013332
Source:OH_CBR
Price summary
- Price:$269,316
About this home
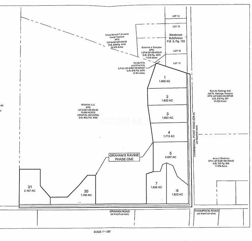
Welcome to Graham Ravines Pickaway Countys newest and most distinctive residential opportunity. This thoughtfully designed subdivision offers spacious building lots ranging from 1.64 to 2.70 acres, providing the perfect balance of privacy, nature, and room to create your ideal home.
Set apart from typical developments, Graham Ravines is heavily wooded, with mature trees and natural streams weaving throughout the landscape. Each homesite offers a unique setting, whether tucked among the trees or overlooking peaceful water features, creating a serene and picturesque environment that feels worlds away from the ordinary.
If you've been searching for land that offers both character and tranquility, this is it. Graham Ravines delivers a rare chance to build in a setting that truly stands out where nature isn't an afterthought, but the centerpiece.
Deed restrictions do apply. Subdivision plat has been recorded, and parcel #'s will be available soon. Well and septic required. Propane or electric heat source....
Contact an agent
Home facts
- Listing ID #:226013332
- Added:1 day(s) ago
- Updated:April 25, 2026 at 02:50 PM
Structure and exterior
- Lot area:2.7 Acres
- Lot Features:Wooded
Finances and disclosures
- Price:$269,316
New listings near 0 Commercial Point Road
- Coming SoonOpen Sun, 1 to 3pm
$535,000Coming Soon4 beds 3 baths27 Hemingway Avenue, Ashville, OH 43103
MLS# 226013611Listed by: COLDWELL BANKER REALTY - New
$229,316Active1.73 Acres0 Commercial Point Road, Ashville, OH 43103
MLS# 226013338Listed by: M3K REAL ESTATE NETWORK INC. - New
$785,000Active3 beds 4 baths4,912 sq. ft.4965 Duvall Road, Ashville, OH 43103
MLS# 226012925Listed by: KELLER WILLIAMS CAPITAL PTNRS - New
$50,000Active3 beds 2 baths1,152 sq. ft.4800 Duvall Road, Ashville, OH 43103
MLS# 226012471Listed by: CRT, REALTORS - New
$289,900Active3 beds 2 baths1,320 sq. ft.33 School Street, Ashville, OH 43103
MLS# 226012021Listed by: E-MERGE REAL ESTATE CROSSROADS - New
$445,000Active4 beds 2 baths2,118 sq. ft.8080 Hagerty Road, Ashville, OH 43103
MLS# 226011881Listed by: HOWARD HANNA REAL ESTATE SVCS
$144,900Active3 beds 1 baths852 sq. ft.317 Long Street, Ashville, OH 43103
MLS# 226011782Listed by: JOSEPH WALTER REALTY, LLC
$344,900Active2 beds 2 baths1,495 sq. ft.15 Thurber Road, Ashville, OH 43103
MLS# 226011697Listed by: COLDWELL BANKER REALTY
$362,458Active3 beds 2 baths1,500 sq. ft.3 Gristmill Drive, Ashville, OH 43103
MLS# 225045928Listed by: D.R. HORTON REALTY OF OHIO, IN