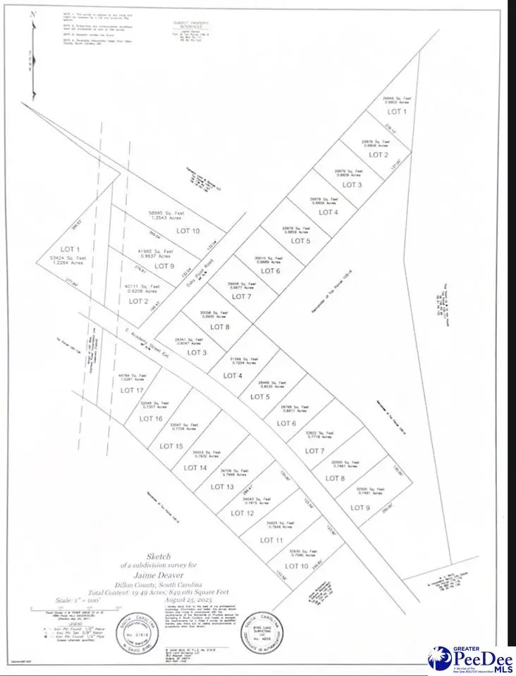
Lot 10 Oaky Point Road, Latta, SC 29565
Local realty services provided by:ERA Real Estate Modo
Lot 10 Oaky Point Road,Latta, SC 29565
$16,900
- 1.35 Acres
- Lots / Land
- Active
Listed by: sara b rogers
Office: dillon realty inc
MLS#:20254575
Source:SC_RAGPD
Price summary
- Price:$16,900
About this home
Mobile homes are allowed; however, they must be a doublewide. NO SINGLEWIDES ALLOWED. TRICO water does run down Oaky Point Road. Buyer responsible to call TRICO to find out what it cost to tap in at (843)-774-4802. You would also need to put a septic down for sewer. Perc test not conducted and would be a buyer's expense at $150 via DHEC, which you can apply for online following a signed ratified contract. Oaky Point Road is a paved road & is county maintained. Cash Price $16,900. The lots are marked for you to see which lot is which. There is a total of 10 lots available on Oaky Point Road. NO HOA We do offer owner financing on this lot; it is as follows: *Owner financing price is $18,900, with $2,000 downpayment, leaving $16,900 financed. *The owner will finance for up to 5 years at 12% interest. *Making monthly payments as follows: 1 year: $1,501.54/mo. 2 years: $795.54/mo. 3 years: $561.32/mo. 4 years: $445.04/mo. 5 years: $375.93/mo. 6 years: $330.40/mo. 7 years: $298.33/mo. To get to the lots from highway 301 turn at Latta Middle School and pass by the Elementary School. You will come up to 811 E Academy St on the right-hand side. The next street to the left is Oaky Point. Lots start here and go back.
Contact an agent
Home facts
- Listing ID #:20254575
- Added:5 day(s) ago
- Updated:December 17, 2025 at 12:58 AM
Structure and exterior
- Lot area:1.35 Acres
Schools
- High school:Latta
- Middle school:Latta
- Elementary school:Latta
Finances and disclosures
- Price:$16,900
- Tax amount:$151
New listings near Lot 10 Oaky Point Road
- New
$54,900Active0.91 Acres821 Mallory Beach Road, Latta, SC 29565
MLS# 20254652Listed by: DILLON REALTY INC - New
$195,000Active3 beds 2 baths1,700 sq. ft.317 W Academy St, Latta, SC 29565
MLS# 20254653Listed by: CROSSON & CO REAL ESTATE BROKERED BY EXP REALTY - New
$16,900Active0.68 AcresLot 7 Oaky Point Road, Latta, SC 29565
MLS# 20254573Listed by: DILLON REALTY INC - New
$16,900Active0.96 AcresLot 9 Oaky Point Road, Latta, SC 29565
MLS# 20254574Listed by: DILLON REALTY INC - New
$16,900Active0.68 AcresLot 1 Oaky Point Road, Latta, SC 29565
MLS# 20254576Listed by: DILLON REALTY INC - New
$16,900Active0.68 AcresLot 2 Oaky Point Road, Latta, SC 29565
MLS# 20254577Listed by: DILLON REALTY INC - New
$16,900Active0.68 AcresLot 3 Oaky Point Road, Latta, SC 29565
MLS# 20254578Listed by: DILLON REALTY INC - New
$16,900Active0.68 AcresLot 6 Oaky Point Road, Latta, SC 29565
MLS# 20254579Listed by: DILLON REALTY INC - New
$16,900Active0.68 AcresLot 4 Oaky Point Road, Latta, SC 29565
MLS# 20254580Listed by: DILLON REALTY INC