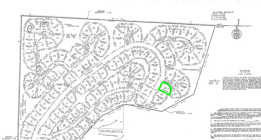
Lot 28 Mahuts Trace, Cherokee Village, AR 72529
Local realty services provided by:ERA TEAM Real Estate
Lot 28 Mahuts Trace,Cherokee Village, AR 72529
$1,090
- 0.25 Acres
- Lots / Land
- Active
Listed by: john vick
Office: exp realty
MLS#:25004163
Source:AR_CARMLS
Price summary
- Price:$1,090
- Monthly HOA dues:$7.5
About this home
Buy one lot and get 50% off an additional lot! Part of a set of adjoining lots available. Owner-finance for easy terms. Cash buyers can pay by debit or credit card as well. Nice lot to develop or hold for future value. Public water and electric are available to run to property and will need septic. Owner/agent. No mobiles allowed. 300-2500 minimum build size on any other type of home, depending on subdivision. Finance is 5 months at $257 and closing costs are included. Buyer responsible for any back, current and future taxes owed on this property. Lots marked with red banner are part of promotion. No limit on lots. Buyer responsible for any/all taxes and lots sold "as-is". Quit claim deed conveys. Parcel ID# 200-13761-000
Contact an agent
Home facts
- Listing ID #:25004163
- Added:213 day(s) ago
- Updated:May 16, 2026 at 02:24 PM
Structure and exterior
- Lot area:0.25 Acres
- Lot Features:Common to Golf Course, Common to Lake, In Subdivision, Level, Resort Property, River/Lake Area, Unimproved, Wooded
Finances and disclosures
- Price:$1,090
- Tax amount:$75 (2023)
Features and amenities
- Amenities:Clubhouse, Fitness/Bike Trail, Golf Course, Marina, Picnic Area, Playground, Tennis Court(s)
- Pool features:Swimming Pool(s)
New listings near Lot 28 Mahuts Trace
- New
$487,500Active4 beds 3 baths2,901 sq. ft.176 E Lakeshore Drive, Cherokee Village, AR 72529
MLS# 26019652Listed by: CENTURY 21 PORTFOLIO - Open Sun, 2 to 4pmNew
$125,000Active2 beds 2 baths1,176 sq. ft.6 S Hileah Trce, Cherokee Village, AR 72529
MLS# 26019597Listed by: COMPASS ROSE REALTY - New
$749,000Active7 beds 4 baths5,320 sq. ft.2 Caxambas Dr, Cherokee Village, AR 72529
MLS# 26019541Listed by: FERGUSON REALTY GROUP - New
$42,500Active0.7 Acres42 Enid Drive, Cherokee Village, AR 72529
MLS# 26019161Listed by: KING-RHODES & ASSOCIATES, INC. - New
$6,350Active0.3 AcresTBD Spokane Drive, Cherokee Village, AR 72529
MLS# 26019340Listed by: KING-RHODES & ASSOCIATES, INC. - New
$1,200Active0.25 AcresLot 6 Matagamon Drive, Cherokee Village, AR 72529
MLS# 25037702Listed by: EXP REALTY - New
$339,000Active3 beds 2 baths1,616 sq. ft.14 W Lake Estates Circle, Cherokee Village, AR 72529
MLS# 26019244Listed by: OZARK GATEWAY REALTY OGW LLC - New
$42,000Active3 beds 2 baths1,360 sq. ft.8 Warpath Drive, Cherokee Village, AR 72529
MLS# 26019111Listed by: KING-RHODES & ASSOCIATES, INC. - New
$135,000Active3 beds 2 baths1,044 sq. ft.13 Iowa Drive, Cherokee Village, AR 72529
MLS# 26019147Listed by: KING-RHODES & ASSOCIATES, INC. - New
$59,000Active2 beds 2 baths1,088 sq. ft.45 Monongahela Drive, Cherokee Village, AR 72529
MLS# 26018914Listed by: BAXTER REAL ESTATE COMPANY