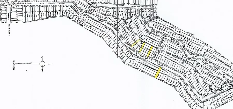
Hillcrest Circle, Cherokee Village, AR 72529
Local realty services provided by:ERA TEAM Real Estate
Hillcrest Circle,Cherokee Village, AR 72529
$7,900
- 0.08 Acres
- Lots / Land
- Active
Listed by: derek ford
Office: king-rhodes & associates, inc.
MLS#:25047942
Source:AR_CARMLS
Price summary
- Price:$7,900
About this home
Five unrestricted lots located just outside the Cherokee Village city limits present a rare opportunity to secure multiple homesites in one of the Ozarks’ most established communities. Because these properties lie beyond the city boundaries, ownership does not include access to Cherokee Village amenities; however, the unrestricted status allows for uses not permitted within the city, such as camping, RVing, and other forms of outdoor recreation. This flexibility makes the package especially appealing for those seeking both investment potential and recreational freedom. Owning five lots together provides options for future development, resale, or simply holding for appreciation, while ensuring a larger footprint in the area. With utilities available nearby and the amenities of Cherokee Village just minutes away, this offering combines affordability with long-term value. Whether building now or holding for the future, these five unrestricted lots create a compelling opportunity to establish a lasting presence in a community that blends recreation, relaxation, and enduring appeal and NO SID FEES....
Contact an agent
Home facts
- Listing ID #:25047942
- Added:162 day(s) ago
- Updated:May 16, 2026 at 02:24 PM
Structure and exterior
- Lot area:0.08 Acres
- Lot Features:In Subdivision, Unimproved, Wooded
Schools
- High school:Highland
- Middle school:Highland
- Elementary school:Cherokee
Utilities
- Water:Water-Public
- Sewer:Septic
Finances and disclosures
- Price:$7,900
- Tax amount:$102 (2025)
Features and amenities
- Amenities:Fitness/Bike Trail, Golf Course, Marina, Party Room, Picnic Area, Playground, Security, TV-Satellite Dish, Telephone-Private, Tennis Court(s)
- Pool features:Swimming Pool(s)
New listings near Hillcrest Circle
- New
$487,500Active4 beds 3 baths2,901 sq. ft.176 E Lakeshore Drive, Cherokee Village, AR 72529
MLS# 26019652Listed by: CENTURY 21 PORTFOLIO - Open Sun, 2 to 4pmNew
$125,000Active2 beds 2 baths1,176 sq. ft.6 S Hileah Trce, Cherokee Village, AR 72529
MLS# 26019597Listed by: COMPASS ROSE REALTY - New
$749,000Active7 beds 4 baths5,320 sq. ft.2 Caxambas Dr, Cherokee Village, AR 72529
MLS# 26019541Listed by: FERGUSON REALTY GROUP - New
$42,500Active0.7 Acres42 Enid Drive, Cherokee Village, AR 72529
MLS# 26019161Listed by: KING-RHODES & ASSOCIATES, INC. - New
$6,350Active0.3 AcresTBD Spokane Drive, Cherokee Village, AR 72529
MLS# 26019340Listed by: KING-RHODES & ASSOCIATES, INC. - New
$1,200Active0.25 AcresLot 6 Matagamon Drive, Cherokee Village, AR 72529
MLS# 25037702Listed by: EXP REALTY - New
$339,000Active3 beds 2 baths1,616 sq. ft.14 W Lake Estates Circle, Cherokee Village, AR 72529
MLS# 26019244Listed by: OZARK GATEWAY REALTY OGW LLC - New
$42,000Active3 beds 2 baths1,360 sq. ft.8 Warpath Drive, Cherokee Village, AR 72529
MLS# 26019111Listed by: KING-RHODES & ASSOCIATES, INC. - New
$135,000Active3 beds 2 baths1,044 sq. ft.13 Iowa Drive, Cherokee Village, AR 72529
MLS# 26019147Listed by: KING-RHODES & ASSOCIATES, INC. - New
$59,000Active2 beds 2 baths1,088 sq. ft.45 Monongahela Drive, Cherokee Village, AR 72529
MLS# 26018914Listed by: BAXTER REAL ESTATE COMPANY