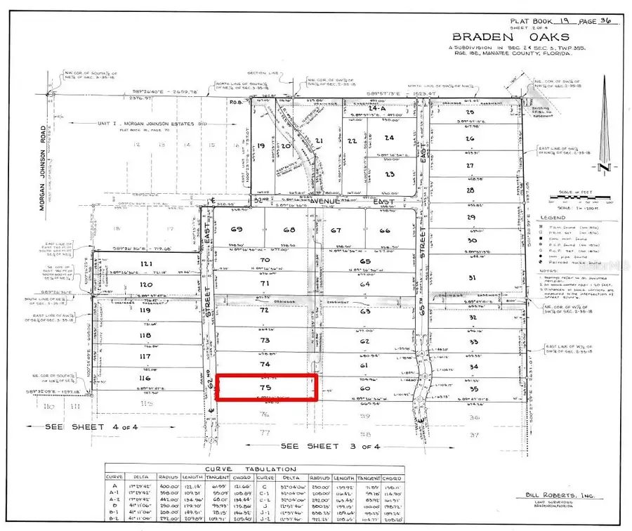
3555 62nd Street E, Bradenton, FL 34208
Local realty services provided by:ERA American Suncoast
3555 62nd Street E,Bradenton, FL 34208
$294,000
- 240.18 Acres
- Lots / Land
- Pending
Listed by: jarrod luparell
Office: wagner realty
MLS#:A4681140
Source:MFRMLS
Price summary
- Price:$294,000
About this home
Location, Location, Location! Exceptional 2.4-acre wooded estate lot in highly sought-after Braden Oaks — no CDD, no HOA, and no deed restrictions, offering rare flexibility and privacy in a park-like setting. Unique zoning, Zoned A-1 and ideal for horses, chickens, hobby farms, car collectors, or those who want room for a workshop, guest house, barn, horse paddock, RV/boat storage, or other outbuildings. Mature oak trees and abundant canopy allow you to preserve existing specimen trees and landscape beautifully while creating private outdoor living areas. The property blends tranquil country living with immediate access to modern conveniences: minutes to SR-70, SR-64 and I-75; close to Lakewood Ranch, UTC Mall, SRQ International Airport, Lowe's, Publix, Whole Foods, restaurants, medical facilities and schools. Easy access to Costco, Sams club, dog parks, boat launches (including Jiggs Landing), world-class golf, and pristine Gulf beaches, approximately 16 miles to Anna Maria Island and about 30 minutes to Siesta Key, Lido, Bradenton Beach, Turtle Bay and other famous beaches. Short drives to Sarasota, Bradenton, St. Petersburg and Tampa; Tampa Bay Rays and Tampa Bay Rays and Pittsburgh Pirates Spring training facilities, and Pittsburgh Pirates minor league team games. Top rated AAA facilities nearby. Three recent sales of homes with similar acreage in the area exceeded $1,000,000, underscoring the rarity and value of this offering. As you approach the property you’ll notice a well-maintained, colorful landscape and a sense of seclusion; can build a warehouse with easy access via newly expanded 44th Ave E. This is more than a lot, it’s a lifestyle: peaceful, private, and perfectly positioned for country charm with urban convenience. Almost the entire lot sits in Flood Zone X, which is not a flood zone and is fully buildable. Only a very small strip of land—just a few feet—near the natural drainage area falls within Zone A. The primary building area, driveway locations, and usable acreage are all in Zone X. The county water line runs along the property, making it easy to connect to public water. A must-see! Schedule your private showing today. Survey available!...
Contact an agent
Home facts
- Listing ID #:A4681140
- Added:51 day(s) ago
- Updated:March 27, 2026 at 07:47 AM
Structure and exterior
- Lot area:240.18 Acres
- Lot Features:Buildable, Oversized, Rural, Wooded
- Levels:1 Story
Schools
- High school:Braden River High
- Middle school:Carlos E. Haile Middle
- Elementary school:William H. Bashaw Elementary
Utilities
- Water:Water Available
- Sewer:Septic Needed
Finances and disclosures
- Price:$294,000
Features and amenities
- Amenities:BB/HS Internet Available, Cable Available, Electricity Available
- Pool features:Public Pool
New listings near 3555 62nd Street E
- New
$847,975Active4 beds 3 baths2,775 sq. ft.19127 Scallop Loop, BRADENTON, FL 34211
MLS# A4687755Listed by: FINE PROPERTIES - New
$599,000Active5 beds 4 baths3,615 sq. ft.5336 Grove Mill Loop, BRADENTON, FL 34211
MLS# A4687751Listed by: FINE PROPERTIES
$817,756Pending3 beds 3 baths2,445 sq. ft.19135 Scallop Loop, BRADENTON, FL 34211
MLS# A4687750Listed by: FINE PROPERTIES- New
$510,000Active4 beds 2 baths2,221 sq. ft.718 Planters Manor Way, BRADENTON, FL 34212
MLS# A4687569Listed by: SKYWAY REALTY OF FLORIDA, LLC - New
$115,000Active1 beds 2 baths630 sq. ft.3300 26th Avenue E #225, BRADENTON, FL 34208
MLS# A4687741Listed by: WAGNER REALTY - New
$410,000Active3 beds 2 baths1,836 sq. ft.2514 15th Avenue W, BRADENTON, FL 34205
MLS# A4687743Listed by: COLDWELL BANKER REALTY - New
$390,000Active3 beds 2 baths1,998 sq. ft.2003 48th Street W, BRADENTON, FL 34209
MLS# A4686494Listed by: FINE PROPERTIES - New
$699,999Active4 beds 3 baths2,579 sq. ft.3664 142nd Terrace E, BRADENTON, FL 34211
MLS# R4910953Listed by: FLORIWEST REALTY GROUP, LLC - New
$859,000Active5 beds 5 baths3,344 sq. ft.14904 Serene Shores Loop, BRADENTON, FL 34211
MLS# A4683763Listed by: REAL BROKER, LLC - New
$525,000Active3 beds 3 baths2,018 sq. ft.8222 Haven Harbour Way, BRADENTON, FL 34212
MLS# TB8490990Listed by: RE/MAX REALTY UNLIMITED