Address Withheld By Seller, Gridley, IL 61744

Local realty services provided by:Results Realty ERA Powered
Address Withheld By Seller,Gridley, IL 61744
$30,000
  • 0.33 Acres
  • Lots / Land
  • Active
Listed by: willow gramm, george gramm
Office: re/max choice
MLS#:12512881
Source:MLSNI

Sorry, we are unable to map this address


Price summary

  • Price:$30,000

About this home

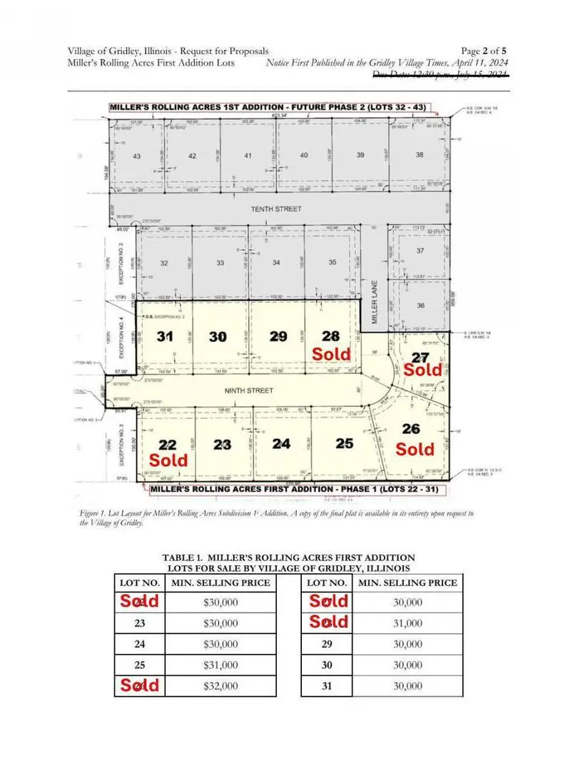
Lot 24: 1/3 Acre Lot available in new subdivision in NE Gridley - Miller's Rolling Acres First Addition. This is a great opportunity to build your custom dream home, using your favorite builder! Subdivision is located in the El Paso-Gridley School District with access to Village parks and public pool. Another amazing perk for the Village is golf carts are allowed within the city limits. All utilities are available to the building site. Call/Text George & Willow Gramm for more information and a tour of the Village of Gridley!

Contact an agent

contact an agent

Yes, I would like more information. Please use and/or share my information with an ERA®  affiliated agent to contact me about my real estate needs. By clicking Send message, I request to be contacted by phone or text message and consent to being contacted by automated means. I understand that my consent to receive calls or texts is not a condition of purchasing any property, goods, or services. Alternatively, I understand that I can access real estate services by email or I can contact the agent myself.

If an ERA®  affiliated agent is not available in the area where I need assistance, I agree to be contacted by a real estate agent affiliated with another brand owned or licensed by Anywhere Real Estate (BHGRE® , CENTURY 21® , Coldwell Banker® , Corcoran® , Sotheby's International Realty® ).
 I acknowledge that I have read and agree to theTerms of useandPrivacy notice

Home facts

  • Listing ID #:12512881
  • Added:54 day(s) ago
  • Updated:December 31, 2025 at 11:49 AM

Structure and exterior

  • Lot area:0.33 Acres

Schools

  • High school:El Paso-Gridley High School
  • Middle school:El Paso-Gridley Jr High School
  • Elementary school:Jefferson Park Elementary

Finances and disclosures

  • Price:$30,000
MLS LogoCopyright 2025 Midwest Real Estate Data LLC. All rights reserved. The data relating to real estate for sale on this web site comes in part from the Broker Reciprocity Program of the Midwest Real Estate Data LLC. Listing information is deemed reliable but not guaranteed.