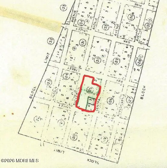
59 Tuckerton Avenue, Barnegat, NJ 08005
Local realty services provided by:ERA Central Realty Group
59 Tuckerton Avenue,Barnegat, NJ 08005
$125,000
- 1.67 Acres
- Lots / Land
- Active
Listed by: anthony disanzo
Office: compass new jersey , llc.
MLS#:22604744
Source:NJ_MOMLS
Price summary
- Price:$125,000
About this home
These three total lots (Block 125 Lots 1,3,4) are within walking distance to the local high school and close to shopping, dining, and entertainment. Commuters will appreciate the convenient access to the Garden State Parkway and U.S. Route 9. The lots are located just beyond the end of the currently installed street and will require a short extension to provide access for future owners and emergency services. The price has been adjusted to reflect the cost of the required street construction, creating an excellent opportunity for builders or investors.
Contact an agent
Home facts
- Listing ID #:22604744
- Added:77 day(s) ago
- Updated:May 13, 2026 at 02:33 PM
Structure and exterior
- Lot area:1.67 Acres
- Lot Features:Irregular Lot, Level, Paper Street, Wooded
Schools
- High school:Barnegat High
- Middle school:Russ Brackman
- Elementary school:Robert L. Horbelt
Finances and disclosures
- Price:$125,000
- Tax amount:$561 (2025)
New listings near 59 Tuckerton Avenue
- New
$750,000Active5 beds 4 baths4,021 sq. ft.59 Nautilus Drive, Barnegat, NJ 08005
MLS# 22613860Listed by: VAN DYK GROUP - Coming SoonOpen Sat, 12 to 3pm
$729,000Coming Soon4 beds 3 baths10 Dori Lane, Barnegat, NJ 08005
MLS# 22613737Listed by: WEICHERT REALTORS-TOMS RIVER - New
$599,900Active4 beds 3 baths1,947 sq. ft.14 Wright Rd, BARNEGAT, NJ 08005
MLS# NJOC2042090Listed by: RESTAINO REALTY LLC - Coming SoonOpen Sat, 12 to 2pm
$439,000Coming Soon4 beds 3 baths64 Barnegat Boulevard, Barnegat, NJ 08005
MLS# 22613723Listed by: COLDWELL BANKER HOME CONNECTION REALTY - Coming SoonOpen Sun, 11am to 2pm
$475,000Coming Soon3 beds 2 baths14 9th Street, Barnegat, NJ 08005
MLS# 22613583Listed by: WEICHERT REALTORS-FORKED RIVER - New
$569,900Active3 beds 3 baths2,552 sq. ft.39 Newport Street, Barnegat, NJ 08005
MLS# 22613559Listed by: RE/MAX AT BARNEGAT BAY - New
$410,000Active2 beds 3 baths2,080 sq. ft.108 Pine Oak Blvd, BARNEGAT, NJ 08005
MLS# NJOC2042074Listed by: BUON VITA HOMES REALTY LLC - New
$499,999Active2 beds 2 baths1,591 sq. ft.6 Fountain View Drive, Barnegat, NJ 08005
MLS# 22613539Listed by: RE/MAX AT BARNEGAT BAY - New
$799,900Active5 beds 3 baths3,000 sq. ft.5 Adrift Avenue, Barnegat, NJ 08005
MLS# 22613502Listed by: RE/MAX GATEWAY - New
$399,900Active2 beds 3 baths1,784 sq. ft.5 Elm Ct, BARNEGAT, NJ 08005
MLS# NJOC2042020Listed by: RE/MAX OF LONG BEACH ISLAND