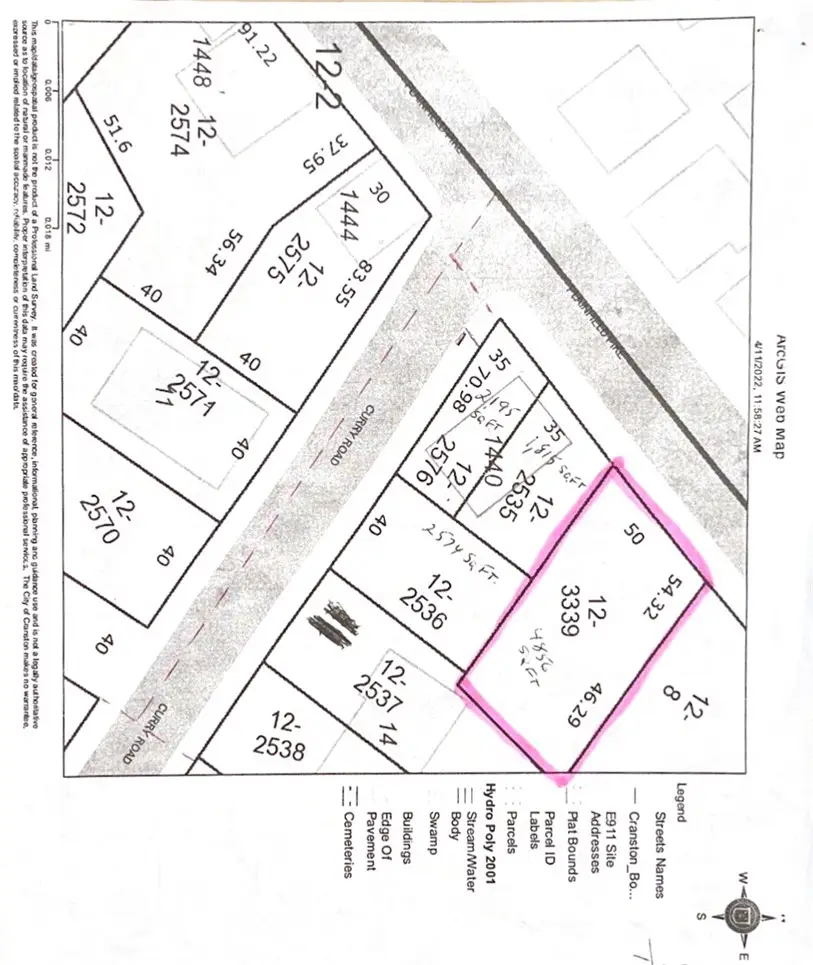
0 Plainfield Pike, Cranston, RI 02920
Local realty services provided by:ERA Empire Real Estate
Listed by: janice falconer
Office: seren realty co.
MLS#:1408547
Source:RI_STATEWIDE
Price summary
- Price:$108,900
About this home
Approved (Previously) Buildable Lot in Prime Cranston Location! Rare opportunity to own a ~5,000 sq ft vacant lot approved for a single-family home. Previously improved with a residence, this lot offers easy access to public water, sewer, gas, and electric ready to be tapped into, saving time and development costs. Located in a fully developed neighborhood with strong resale potential, this property is ideal for builders or buyers looking to design a custom home. Conceptually suited for a ~1,300+ sq ft split-level (raised ranch) with 3 beds, 2 baths, open kitchen/dining, and spacious living area, with potential for 10 ft high lower-level ideal 2 car garage with extra storage space. High-visibility, convenient location just 5 minutes to highway access, shopping, restaurants, and everyday amenities. Approvals, well-located, and build-ready opportunities like this are hard to find! Buyer to do: Due diligence. Seller has previous approvals in hand. Lot is located between VFW Post and corner of Curry Rd. State has the address listed as 1428 Plainfield Pike, previous home was condemned over 40 years ago because it was too close to the street. City does not show a record of the homes existence....
Contact an agent
Home facts
- Listing ID #:1408547
- Added:47 day(s) ago
- Updated:May 14, 2026 at 02:00 PM
Structure and exterior
- Lot area:0.11 Acres
- Lot Features:Level
Utilities
- Water:Underground Utilities, Water Not Available
Finances and disclosures
- Price:$108,900
- Tax amount:$147 (2023)
New listings near 0 Plainfield Pike
- New
$524,900Active3 beds 2 baths2,034 sq. ft.124 Zinnia Drive, Cranston, RI 02920
MLS# 1412196Listed by: KELLER WILLIAMS LEADING EDGE - New
$599,900Active3 beds 2 baths1,955 sq. ft.2 Dogwood Drive, Cranston, RI 02921
MLS# 1412633Listed by: RESIDENTIAL PROPERTIES LTD. - Open Sun, 11am to 1pmNew
$509,900Active3 beds 2 baths2,639 sq. ft.123 Royal Avenue, Cranston, RI 02920
MLS# 1410652Listed by: RI REAL ESTATE SERVICES - New
$1,385,000Active3 beds 4 baths6,362 sq. ft.45 Briarbrooke Lane, Cranston, RI 02921
MLS# 1411941Listed by: SERHANT NEW ENGLAND - Open Sat, 11am to 12:30pmNew
$450,000Active3 beds 2 baths1,482 sq. ft.25 Lambert Street, Cranston, RI 02910
MLS# 1412254Listed by: INNOVATIONS REALTY - New
$549,900Active4 beds 2 baths2,495 sq. ft.1428 Park Avenue, Cranston, RI 02920
MLS# 1412554Listed by: RI REAL ESTATE SERVICES - Open Sun, 12:30 to 2pmNew
$634,900Active3 beds 3 baths2,088 sq. ft.82 Mohawk Trail, Cranston, RI 02921
MLS# 1412574Listed by: JPAR PRIME REAL ESTATE - Open Sat, 12 to 2pmNew
$345,000Active4 beds 3 baths5,149 sq. ft.1448 Plainfield Pike, Cranston, RI 02920
MLS# 1412354Listed by: REALPRO BY THE WATER - New
$499,900Active3 beds 2 baths1,825 sq. ft.61 Rose Hill Drive, Cranston, RI 02920
MLS# 1412545Listed by: MAKO REALTY - New
$575,000Active4 beds 3 baths1,824 sq. ft.61 Metropolitan Ave, Cranston, RI 02920
MLS# 73517685Listed by: Keller Williams Realty Leading Edge