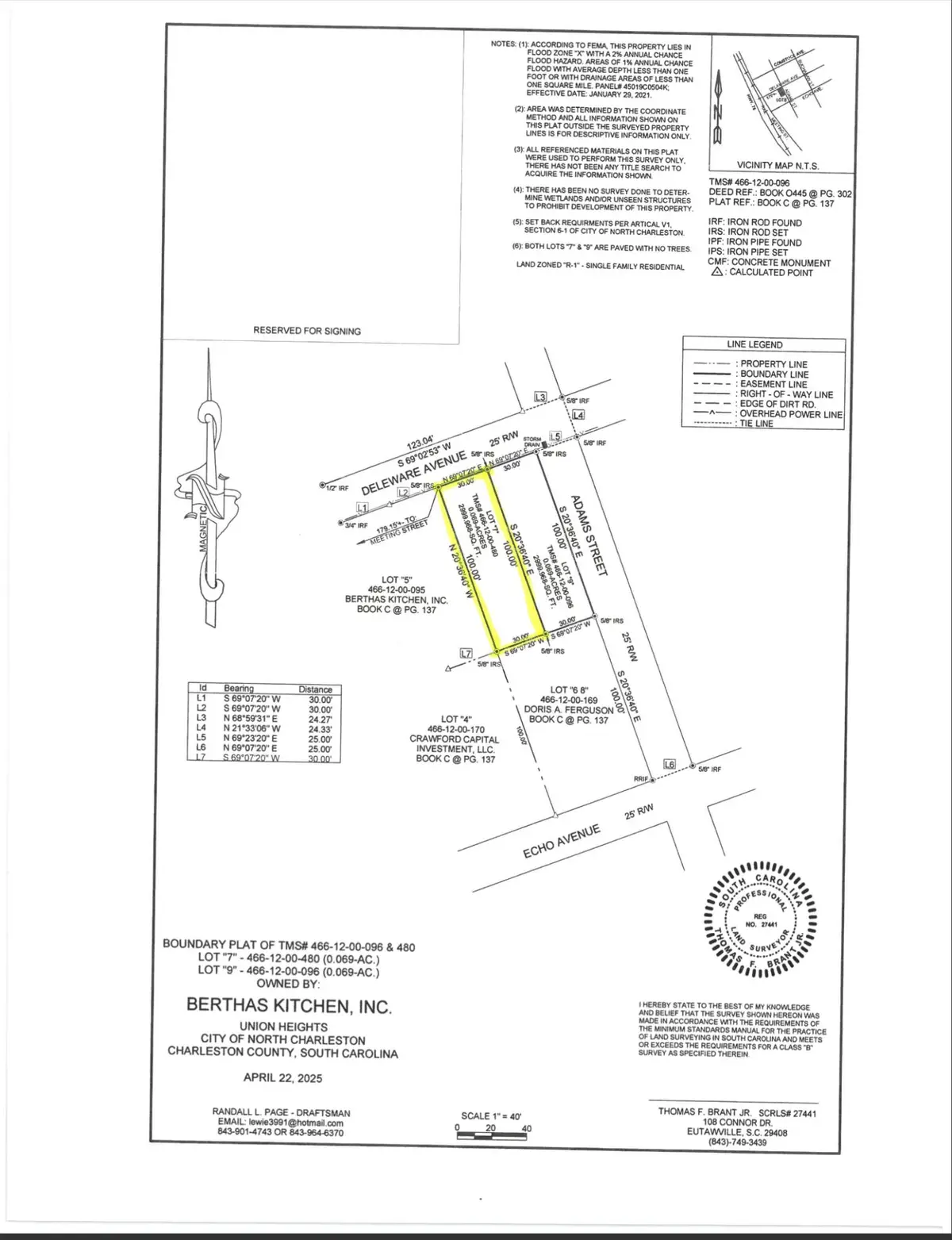
2047 Delaware Avenue, North Charleston, SC 29405
Local realty services provided by:ERA Wilder Realty
Listed by:ayeshia smith
Office:agentowned realty co. premier group, inc.
MLS#:25015513
Source:SC_CTAR
2047 Delaware Avenue,North Charleston, SC 29405
$130,000
- 0.07 Acres
- Lots / Land
- Pending
Price summary
- Price:$130,000
About this home
Located in the up-and-coming Union Heights community, this vacant lot offers incredible potential just minutes from Downtown Charleston and Park Circle. Positioned in a rapidly revitalizing area, the property provides easy access to local shops, restaurants, parks, and major thoroughfares. Whether you're looking to build your dream home or invest in one of Charleston's fastest-growing neighborhoods, this is an opportunity you don't want to miss!Notes: Pease see other listing for lot 9. Please perform your due diligence. Lots were recently surveyed. Lot 7 and 9 are for sale.
Contact an agent
Home facts
- Listing ID #:25015513
- Added:126 day(s) ago
- Updated:October 09, 2025 at 07:45 AM
Structure and exterior
- Lot area:0.07 Acres
Schools
- High school:North Charleston
- Middle school:Morningside
- Elementary school:Mary Ford
Finances and disclosures
- Price:$130,000
New listings near 2047 Delaware Avenue
- Open Sat, 11am to 1pmNew$435,000Active3 beds 2 baths1,827 sq. ft.
5360 Greggs Landing, North Charleston, SC 29420
MLS# 25027376Listed by: JASON MITCHELL GROUP - New$325,990Active3 beds 3 baths1,485 sq. ft.
8867 Salamander Road #47, North Charleston, SC 29406
MLS# 25027362Listed by: STARLIGHT HOMES - New$403,200Active3 beds 3 baths1,518 sq. ft.
213 Seele Street, Summerville, SC 29485
MLS# 25027338Listed by: D R HORTON INC - New$560,000Active5 beds 3 baths2,921 sq. ft.
8725 Evangeline Drive, North Charleston, SC 29420
MLS# 25027343Listed by: ELITE PALMETTO REAL ESTATE - New$377,000Active3 beds 2 baths1,281 sq. ft.
8865 Shovelnose Court, North Charleston, SC 29406
MLS# 25027344Listed by: D R HORTON INC - New$389,999Active3 beds 3 baths2,488 sq. ft.
4816 W Red Maple Circle, Summerville, SC 29485
MLS# 25027316Listed by: CENTURY 21 PROPERTIES PLUS - New$337,500Active3 beds 2 baths1,547 sq. ft.
9306 Ayscough Road, Summerville, SC 29485
MLS# 25027314Listed by: THE BOULEVARD COMPANY - New$449,400Active3 beds 2 baths1,190 sq. ft.
3870 Chestnut Street, North Charleston, SC 29405
MLS# 25027244Listed by: BLUESTONE REALTY - Open Sat, 11am to 1pmNew$325,000Active3 beds 3 baths1,367 sq. ft.
8955 Planters Row Lane, Summerville, SC 29485
MLS# 25027263Listed by: KELLER WILLIAMS REALTY CHARLESTON WEST ASHLEY - New$200,000Active3 beds 2 baths1,206 sq. ft.
7752 Rosin Drive, North Charleston, SC 29418
MLS# 25027248Listed by: AGENTOWNED REALTY