45 E 1200 S, Logan, UT 84321
Local realty services provided by:ERA Brokers Consolidated
45 E 1200 S,Logan, UT 84321
$376,000
- 0.26 Acres
- Lots / Land
- Active
Listed by: jack nixon
Office: century 21 n & n realtors
MLS#:2149475
Source:SL
Price summary
- Price:$376,000
About this home
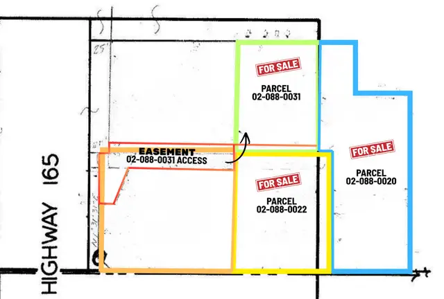
PRIME COMMERCIAL LAND. CONNECTED TO TAX ID 02-088-0022 AND 02-088-0020. ACCESS TO HWY 165
Contact an agent
Home facts
- Listing ID #:2149475
- Added:48 day(s) ago
- Updated:May 28, 2026 at 11:06 AM
Structure and exterior
- Lot area:0.26 Acres
Schools
- High school:Logan
- Middle school:Mt Logan
- Elementary school:None/Other
Finances and disclosures
- Price:$376,000
- Tax amount:$876
New listings near 45 E 1200 S
- Open Sat, 11am to 1pmNew
$750,000Active5 beds 4 baths4,410 sq. ft.1365 Sumac Dr, Logan, UT 84321
MLS# 2160798Listed by: ENGEL & VOLKERS LOGAN, LLC - New
$443,000Active4 beds 2 baths2,080 sq. ft.1627 E 1700 St N, Logan, UT 84341
MLS# 2160705Listed by: EXP REALTY, LLC - New
$509,900Active4 beds 3 baths2,237 sq. ft.1769 W Rivergate Dr #204, Logan, UT 84321
MLS# 2160718Listed by: VISIONARY REAL ESTATE - New
$474,900Active3 beds 2 baths1,593 sq. ft.287 E 1000 N, Logan, UT 84321
MLS# 2160426Listed by: CRESENT RIDGE REALTY LLC - New
$517,900Active3 beds 3 baths2,232 sq. ft.1537 Swallow Cir, Logan, UT 84339
MLS# 2160407Listed by: LISTWITHFREEDOM.COM INC - New
$319,900Active3 beds 3 baths1,523 sq. ft.1269 W 500 S, Logan, UT 84321
MLS# 2160183Listed by: VISIONARY REAL ESTATE
$399,900Pending4 beds 3 baths2,369 sq. ft.1290 Cliffside Dr, Logan, UT 84321
MLS# 2159995Listed by: ENGEL & VOLKERS LOGAN, LLC- New
$295,000Active3 beds 2 baths1,342 sq. ft.3115 S 200 W #C-201, Nibley, UT 84321
MLS# 2160019Listed by: EQUITY REAL ESTATE (ADVISORS) - New
$499,900Active4 beds 3 baths2,485 sq. ft.1225 W 500 S, Logan, UT 84321
MLS# 2159115Listed by: VISIONARY REAL ESTATE - New
$329,900Active3 beds 3 baths1,532 sq. ft.1271 W 500 S, Logan, UT 84321
MLS# 2159802Listed by: VISIONARY REAL ESTATE