445 S 100 W #5A, Providence, UT 84332
Local realty services provided by:ERA Brokers Consolidated
445 S 100 W #5A,Providence, UT 84332
$160,000
- 0.34 Acres
- Lots / Land
- Active
Listed by: darin kidd, christine franks young
Office: exp realty, llc.
MLS#:2133489
Source:SL
Price summary
- Price:$160,000
About this home
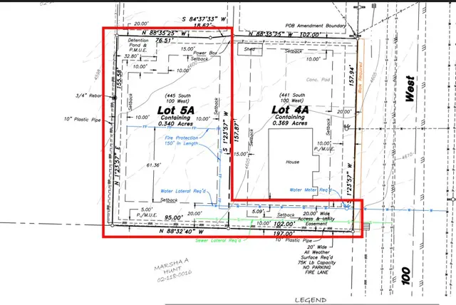
Come Meet the Builder and get all your questions answered for this lot! Open House this Saturday 4-25-2026 12 -3 PM Large lot in an amazing area in Providence. All Utilities will be stubbed for build. Bring your own floor plan and builder or let our custom builder homes and build you a custom energy efficient home of your dreams. This is a flag lot. There will be a paved easement for easy access. Plot map shows the redlined Lot 5A and the easement as the lot for sale.
Contact an agent
Home facts
- Listing ID #:2133489
- Added:92 day(s) ago
- Updated:May 01, 2026 at 11:03 AM
Structure and exterior
- Lot area:0.34 Acres
- Lot Features:Terrain: Flat
Schools
- High school:None/Other
- Middle school:Spring Creek
- Elementary school:Providence
Utilities
- Sewer:Sewer Connected, Sewer: Connected, Sewer: Public
Finances and disclosures
- Price:$160,000
- Tax amount:$1,647
New listings near 445 S 100 W #5A
- New
$385,000Active3 beds 3 baths1,571 sq. ft.452 W 85 S, Providence, UT 84332
MLS# 2154512Listed by: ALL AMERICAN REAL ESTATE, LLC - New
$275,000Active2 beds 2 baths1,125 sq. ft.115 E 550 N #302C, Providence, UT 84332
MLS# 2154423Listed by: ENGEL & VOLKERS LOGAN, LLC - New
$240,000Active0.4 Acres231 N Sherwood Dr #28, Providence, UT 84332
MLS# 2154334Listed by: ENGEL & VOLKERS LOGAN, LLC - New
$240,000Active0.36 Acres205 N Sherwood Dr #25, Providence, UT 84332
MLS# 2154335Listed by: ENGEL & VOLKERS LOGAN, LLC - New
$165,000Active0.28 Acres186 N Sherwood Dr #20, Providence, UT 84332
MLS# 2154337Listed by: ENGEL & VOLKERS LOGAN, LLC - New
$159,000Active0.32 Acres226 N Sherwood Dr #11, Providence, UT 84332
MLS# 2154338Listed by: ENGEL & VOLKERS LOGAN, LLC - New
$200,000Active0.43 Acres256 N Sherwood Dr #3, Providence, UT 84332
MLS# 2154339Listed by: ENGEL & VOLKERS LOGAN, LLC - Open Fri, 4 to 6pmNew
$429,000Active4 beds 4 baths2,212 sq. ft.27 N 460 W, Providence, UT 84332
MLS# 2153932Listed by: HOMIE - Open Sat, 11am to 1pmNew
$474,800Active4 beds 3 baths2,382 sq. ft.270 S Main St, Providence, UT 84332
MLS# 2153933Listed by: ACHIEVEMENT REALTY, LLC - New
$599,985Active3 beds 2 baths2,658 sq. ft.191 N 100 W, Providence, UT 84332
MLS# 2153835Listed by: ACHIEVEMENT REALTY, LLC