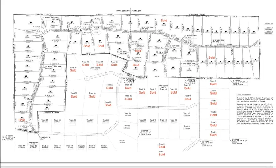
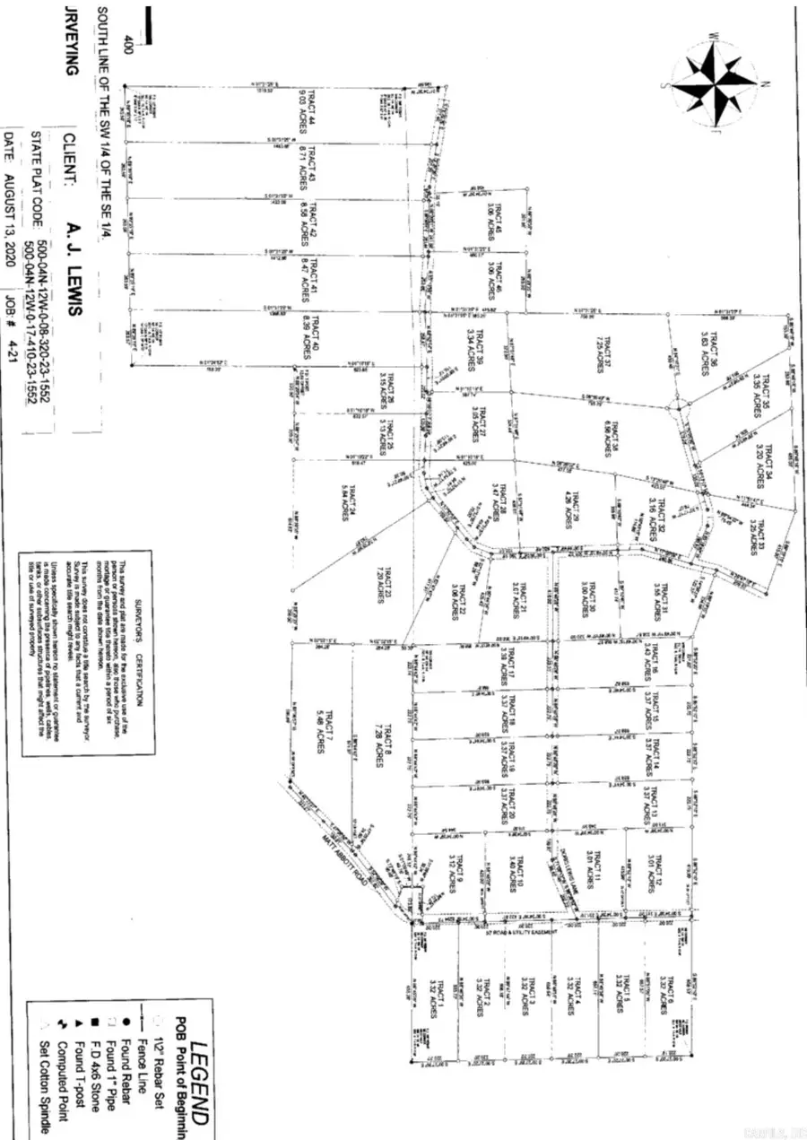
Tract 95 Michael James Drive, Sherwood, AR 72120
Local realty services provided by:ERA Doty Real Estate
Listed by: luke dorey
Office: lpt realty conway
MLS#:26001939
Source:AR_CARMLS
Price summary
- Price:$75,000
About this home
Scenic land is available in the desirable Doris Heights Subdivision, offering the perfect setting to build your custom home. This subdivision features paved roads throughout and a 2,000 sq ft minimum build requirement, ensuring quality and consistency throughout the neighborhood. Perfectly located between Little Rock, Conway, and Cabot, this property provides convenient access to multiple city centers while maintaining a peaceful, country feel. Enjoy beautiful views of rolling hills, creating an ideal backdrop for your future home and outdoor living spaces. (Utilities are available at the road - agents see remarks.) Whether you’re looking to build now or invest for the future, this property offers location, views, and build standards that make it a standout opportunity.
Contact an agent
Home facts
- Listing ID #:26001939
- Added:60 day(s) ago
- Updated:March 14, 2026 at 02:34 PM
Structure and exterior
- Lot area:3 Acres
Finances and disclosures
- Price:$75,000
- Tax amount:$200
New listings near Tract 95 Michael James Drive
- New
$359,900Active3 beds 2 baths2,023 sq. ft.8025 Austin Gardens Court, Sherwood, AR 72120
MLS# 26009682Listed by: CRYE-LEIKE REALTORS KANIS BRANCH - New
$525,000Active3 beds 3 baths3,385 sq. ft.3241 Clearwater Ct, Sherwood, AR 72120
MLS# 26009592Listed by: YOUNG HOME SALES - New
$195,000Active-- beds -- baths2,316 sq. ft.514 & 518 Cherrie Ave, Sherwood, AR 72120
MLS# 26009551Listed by: RE/MAX HOMEFINDERS - New
$195,000Active-- beds -- baths2,316 sq. ft.505 & 509 Longstreth, Sherwood, AR 72120
MLS# 26009552Listed by: RE/MAX HOMEFINDERS - New
$265,000Active3 beds 3 baths1,440 sq. ft.Address Withheld By Seller, Sherwood, AR 72120
MLS# 26009505Listed by: RE/MAX ENCORE - NLR - Open Sun, 2 to 4pmNew
$225,000Active4 beds 2 baths1,516 sq. ft.6633 Magnolia Way, North Little Rock, AR 72117
MLS# 26009450Listed by: BERKSHIRE HATHAWAY HOMESERVICES ARKANSAS REALTY - New
$249,900Active3 beds 2 baths1,456 sq. ft.212 Pineview Avenue, Sherwood, AR 72120
MLS# 26009344Listed by: MICHELE PHILLIPS & CO. REALTORS - New
$249,900Active3 beds 2 baths1,456 sq. ft.214 Pineview Avenue, Sherwood, AR 72120
MLS# 26009345Listed by: MICHELE PHILLIPS & CO. REALTORS - New
$115,000Active2 beds 1 baths672 sq. ft.215 Taylor Road, Jacksonville, AR 72076
MLS# 26009264Listed by: BIAS 4 U REALTY - Open Sun, 2 to 4pmNew
$439,500Active3 beds 2 baths2,322 sq. ft.557 Valley Oak Drive, Sherwood, AR 72120
MLS# 26009199Listed by: MICHELE PHILLIPS & CO. REALTORS