0 Wareham Road, Plymouth, MA 02360

Local realty services provided by:ERA Key Realty Services
0 Wareham Road,Plymouth, MA 02360
$174,900
  • 1.84 Acres
  • Lots / Land
  • Active
Listed by: consumers best choice team, veronika pianzina
Office: keller williams pinnacle metrowest
MLS#:73492601
Source:MLSPIN

Price summary

  • Price:$174,900

About this home

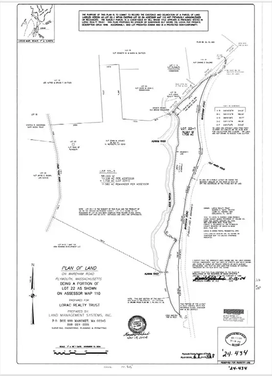
Dreaming of a peaceful retreat near Cape Cod? This rare 1.84-acre buildable gem offers over 74 feet of serene Agawam River frontage and about 1,287 feet frontage along Wareham Road — perfect for your future getaway or forever home! Two surveyed lots (Lot 22-1 & Lot 36) with flexible build sites overlooking the river. Enjoy nature right from your backyard! Just minutes from state forests, sparkling ponds, rivers, campgrounds, golf courses, museums, horse farm, water park, and Cape Cod Bay adventures. Seller will consider partnership or owner financing and pay up to 3% toward your closing costs — build your dream and feel like you’re on vacation every day! Don't miss this gorgeous gem! See attachments for survey, proposed home and septic locations, etc. This lot is to the left of 9 Wareham Road.

Contact an agent

contact an agent

Yes, I would like more information. Please use and/or share my information with an ERA®  affiliated agent to contact me about my real estate needs. By clicking Send message, I request to be contacted by phone or text message and consent to being contacted by automated means. I understand that my consent to receive calls or texts is not a condition of purchasing any property, goods, or services. Alternatively, I understand that I can access real estate services by email or I can contact the agent myself.

If an ERA®  affiliated agent is not available in the area where I need assistance, I agree to be contacted by a real estate agent affiliated with another brand owned or licensed by Anywhere Real Estate (BHGRE® , CENTURY 21® , Coldwell Banker® , Corcoran® , Sotheby's International Realty® ).
 I acknowledge that I have read and agree to theTerms of useandPrivacy notice

Home facts

  • Listing ID #:73492601
  • Updated:May 16, 2026 at 10:34 AM

Structure and exterior

  • Lot area:1.84 Acres
  • Lot Features:Lot Staked, Sloped, Wooded

Utilities

  • Water:Private
  • Sewer:Private Sewer

Finances and disclosures

  • Price:$174,900
  • Tax amount:$20 (2025)
The property listing data and information, or the Images, set forth herein were provided to MLS Property Information Network, Inc. from third party sources, including sellers, lessors and public records, and were compiled by MLS Property Information Network, Inc. The property listing data and information, and the Images, are for the personal, non-commercial use of consumers having a good faith interest in purchasing or leasing listed properties of the type displayed to them and may not be used for any purpose other than to identify prospective properties which such consumers may have a good faith interest in purchasing or leasing. MLS Property Information Network, Inc. and its subscribers disclaim any and all representations and warranties as to the accuracy of the property listing data and information, or as to the accuracy of any of the Images, set forth herein.